青山区人民政府农用地转用征收启动公告 青土告字〔2021〕23号
| 所在地区: | 湖北-武汉-青山区 | 发布日期: | 2021年7月16日 |
青山区(化工区)八吉府街武汉市国营青山良种场及有关农户:
为规范征地程序,加强征地管理,切实维护被征地者的合法权益,根据《中华人民共和国土地管理法》、《土地管理法实施条例》等法律、法规和有关规定,我区拟启动武汉市国营青山良种场土地储备项目建设用地征收事宜,现将有关事项告知如下:
一、征收目的:该项目已列入《市人民政府办公厅关于2021年度全市土地储备计划的批复》(武政办[2021]53号),属于区人民政府组织实施的城镇建设用地范围内的成片开发建设用地。
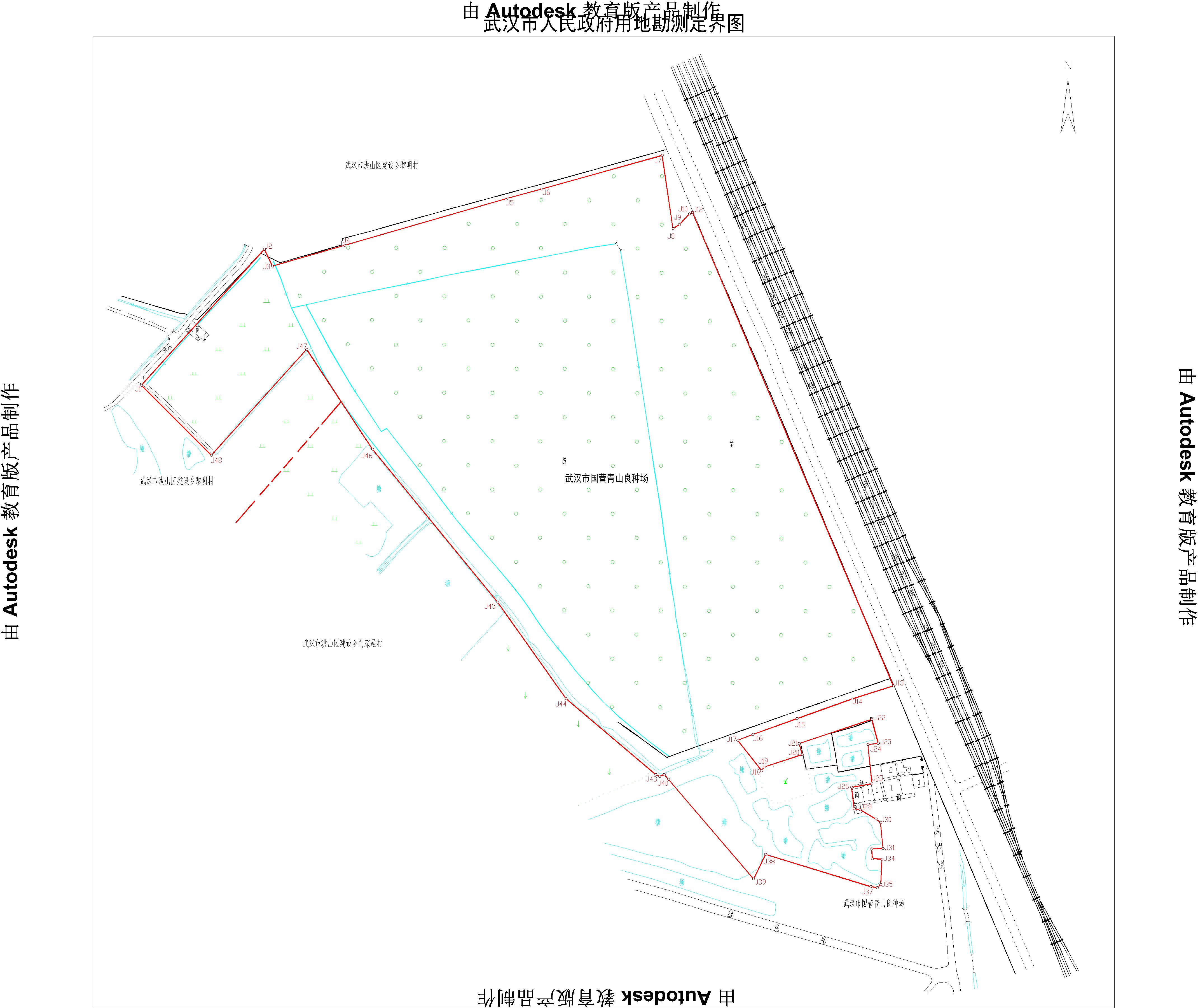
二、征收土地范围、面积:拟征收地块位于八吉府街向家尾村吴沙公路西边的武汉市国营青山良种场地块(位置及四至范围详见附图)。勘测定界总面积16.8548公顷,其中农用地16.8548 公顷(耕地1.2568公顷),建设用地 0 公顷,未利用地 0 公顷。
三、本土地征收启动公告发布之日起,任何单位和个人不得在拟征地范围内抢栽抢建;违反规定抢栽抢建的,不予补偿安置。
四、开展土地现状调查:本农用地转用启动公告发布之日起,青山区人民政府将组织对拟征收土地现状进行调查,内容包括土地的权属、地类、面积以及农村村民住宅、其他地上附着物和青苗等的权属、种类、数量等信息。请被征地的农村集体经济组织、相关权利人予以配合,并在《拟征收土地现状调查结果确认表》上签字或盖章予以确认。
五、开展社保调查:本公告发布之日起,青山区人民政府组织相关部门对拟征收土地涉及的被征地农户开展社保调查,包括涉及农户的户籍人数、被征收耕地面积、征地后家庭人均耕地面积等信息,并对符合享受被征地农民养老保险补偿的名单进行初步审核。
青山区人民政府
2021年6月29日

附件:
按照客观、公正、公开的原则,本条信息受业主方委托独家指定在中国建设招标网 www.jszhaobiao.com 发布
注册会员 享受贴心服务
标讯查询服务
让您全面及时掌握全国各省市拟建、报批、立项、施工在建项目的项目信息。
帮您跟对合适的项目、找对准确的负责人、全面掌握各项目的业主单位、设计院、总包单位、施工企业的项目 经理、项目负责人的详细联系方式。
帮您第一时间获得全国项目业主、招标代理公司和政府采购中心发布的招标、中标项目信息。
标讯定制服务
根据您的关注重点定制项目,从海量项目中筛选出符合您要求和标准的工程并及时找出关键负责人和联系方式。
根据您的需要,向您指定的手机、电子邮箱及时反馈项目进展情况。