办理会员咨询热线:4000-156-001

江桥镇将新建3条道路,出行更方便→

所在地区: 上海-嘉定- 发布日期: 2024年6月19日
建设快讯正文

@嘉定的小伙伴

嘉定区江桥镇将新建3条道路及桥梁

具体如下↓

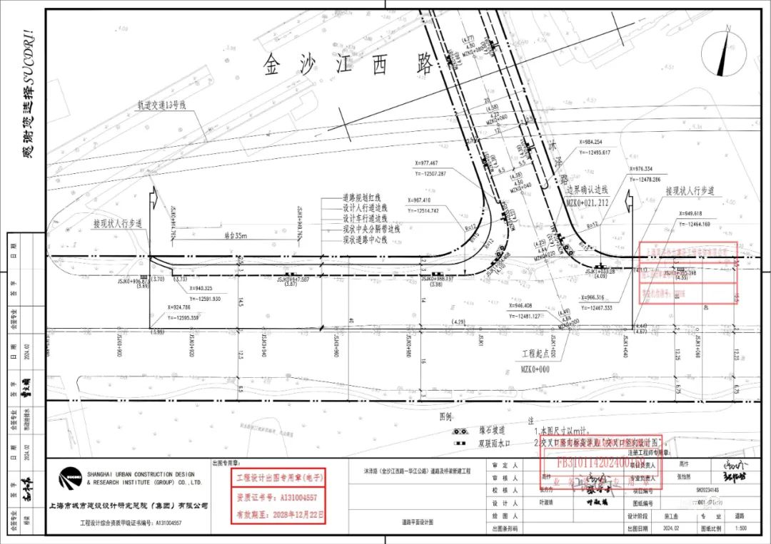
01

图片附件

建设单位(个人)

上海地产北虹桥开发建设有限公司

建设项目名称

江桥路(金沙江西路-晓香路)

道路及桥梁新建工程

建设位置

嘉定区江桥镇

东至道路红线、南至金沙江西路

西至道路红线、北至晓香路

建设规模

道路全长613.9米、宽28米

新建桥梁1座

图片附件

图片附件

图片附件

图片附件

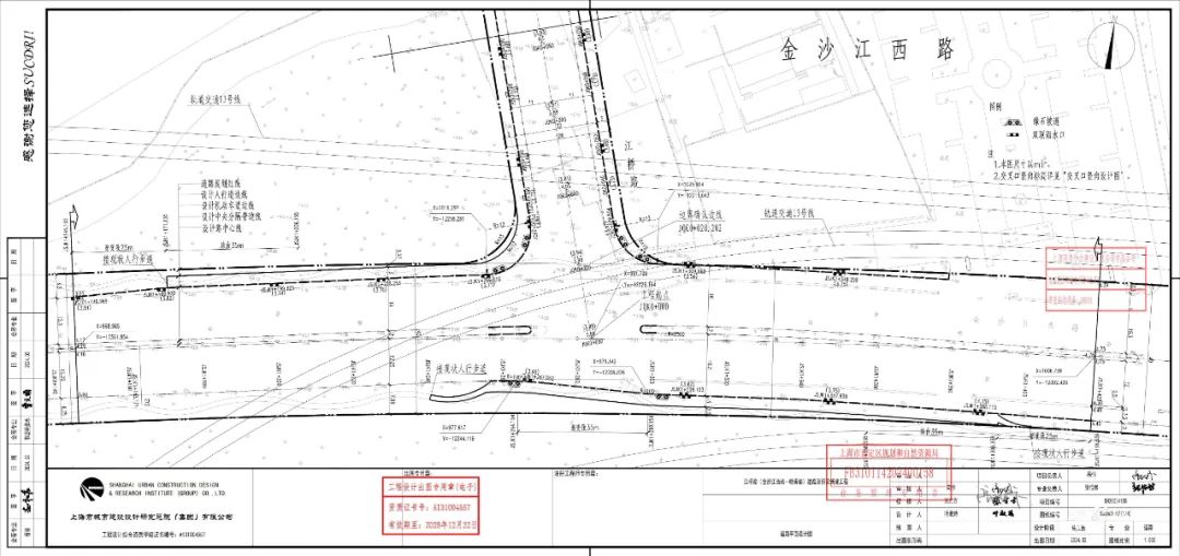
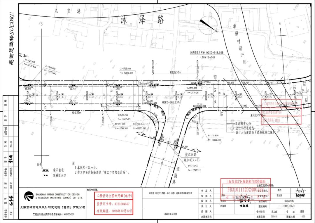
02

图片附件

建设单位(个人)

上海地产北虹桥开发建设有限公司

建设项目名称

沐泽路(金沙江西路-华江公路)

道路及桥梁新建工程

建设位置

嘉定区江桥镇

金沙江西路,华江公路

建设规模

道路长1006.03米,宽20米

新建桥梁2座

图片附件

图片附件

图片附件

图片附件

图片附件

图片附件

图片附件

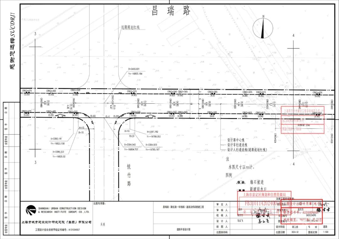
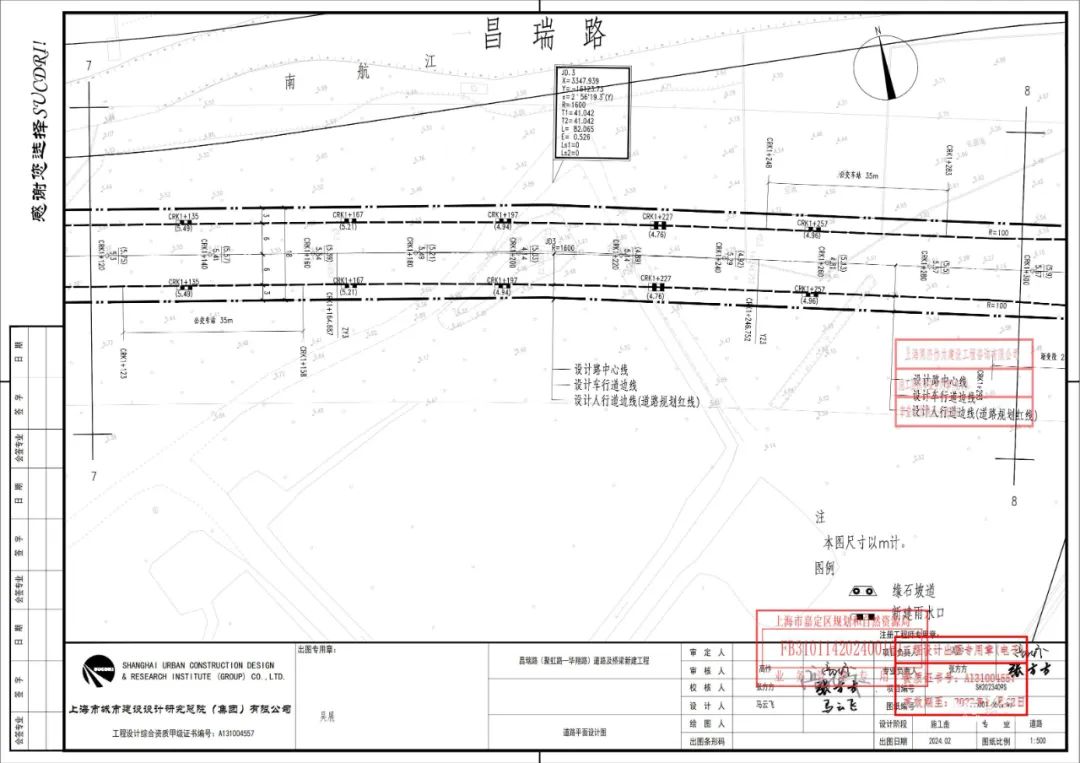
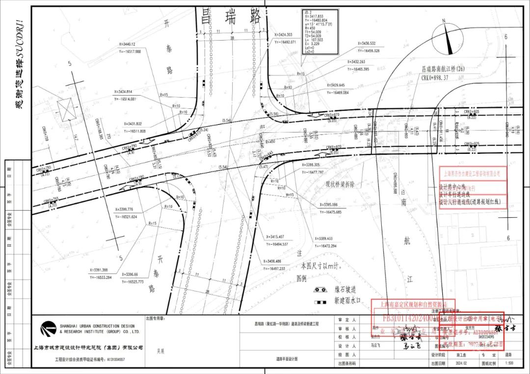
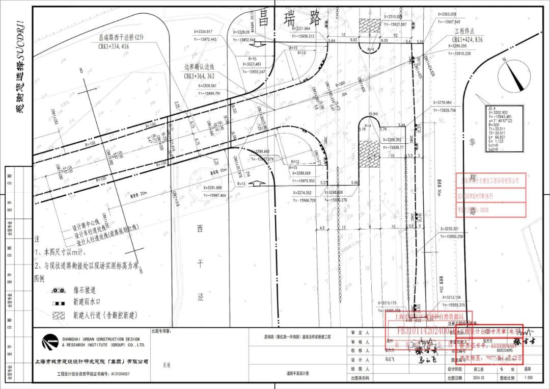
03

图片附件

建设单位(个人)

上海地产北虹桥开发建设有限公司

建设项目名称

昌瑞路(聚虹路-华翔路)

道路及桥梁新建工程

建设位置

嘉定区江桥镇

东至华翔路、南至道路红线

西至聚虹路、北至道路红线

建设规模

道路长1397.36米,宽18米

新建桥梁3座

图片附件

图片附件

图片附件

图片附件

图片附件

图片附件

图片附件

图片附件

图片附件

图片附件

作者:通讯员嘉小规

编辑:周思迪(实习)

按照客观、公正、公开的原则,本条信息受业主方委托独家指定在中国建设招标网 www.jszhaobiao.com 发布

注册会员 享受贴心服务

标讯查询服务

让您全面及时掌握全国各省市拟建、报批、立项、施工在建项目的项目信息。

帮您跟对合适的项目、找对准确的负责人、全面掌握各项目的业主单位、设计院、总包单位、施工企业的项目 经理、项目负责人的详细联系方式。

帮您第一时间获得全国项目业主、招标代理公司和政府采购中心发布的招标、中标项目信息。

标讯定制服务

根据您的关注重点定制项目,从海量项目中筛选出符合您要求和标准的工程并及时找出关键负责人和联系方式。

根据您的需要,向您指定的手机、电子邮箱及时反馈项目进展情况。

咨询热线:4000-156-001