办理会员咨询热线:4000-156-001

出行更便捷!南翔将新建道路及桥梁

所在地区: 上海-嘉定- 发布日期: 2024年7月18日
建设快讯正文

@嘉定的小伙伴

南翔镇将新建2条道路及1座桥梁

具体如下↓

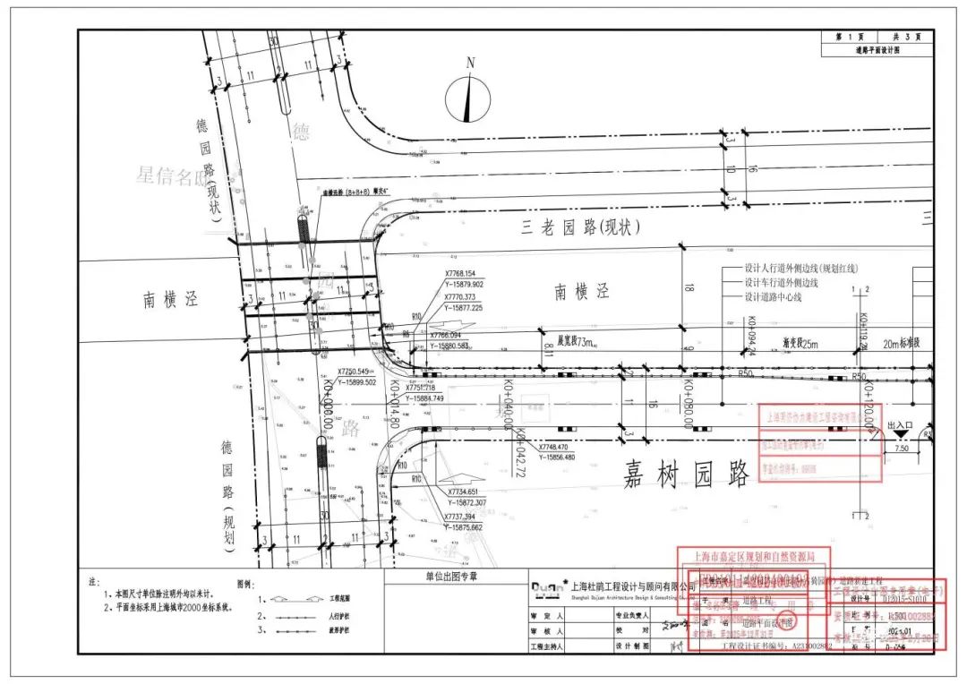
建设单位:嘉定区南翔镇人民政府

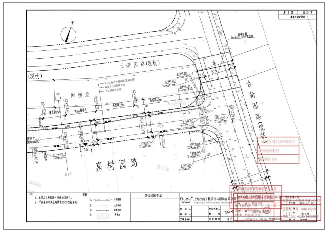
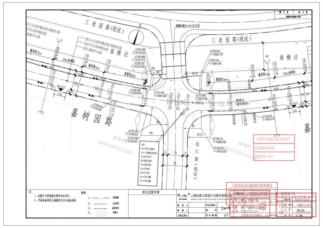
建设项目名称:嘉树园路(德园路-古猗园路)道路新建工程

图片附件

建设位置:嘉定区南翔镇东至古猗园路、西至德园路、南至道路红线、北至道路红线

建设规模:新建道路全长300.36米、宽16米

图片附件

图片附件图片附件

建设单位:嘉定区南翔镇人民政府

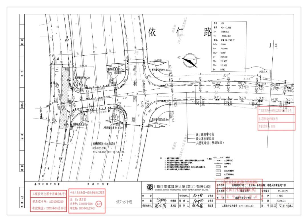
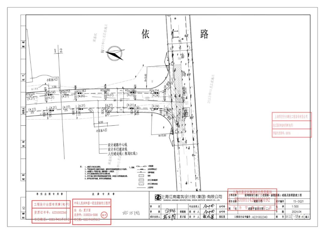
建设项目名称:依仁路(三老园路-嘉隐园路)道路及桥梁新建工程

图片附件

建设位置:嘉定区南翔镇东至道路红线、西至道路红线、南至嘉隐园路、北至三老园路

建设规模:新建道路全长232.7米、宽16米新建桥梁1座

图片附件图片附件

作者: 通讯员嘉小规编辑: 刘欣妍(实习)

按照客观、公正、公开的原则,本条信息受业主方委托独家指定在中国建设招标网 www.jszhaobiao.com 发布

注册会员 享受贴心服务

标讯查询服务

让您全面及时掌握全国各省市拟建、报批、立项、施工在建项目的项目信息。

帮您跟对合适的项目、找对准确的负责人、全面掌握各项目的业主单位、设计院、总包单位、施工企业的项目 经理、项目负责人的详细联系方式。

帮您第一时间获得全国项目业主、招标代理公司和政府采购中心发布的招标、中标项目信息。

标讯定制服务

根据您的关注重点定制项目,从海量项目中筛选出符合您要求和标准的工程并及时找出关键负责人和联系方式。

根据您的需要,向您指定的手机、电子邮箱及时反馈项目进展情况。

咨询热线:4000-156-001